Муравьи напали на яблоню — как быстро спасти плодовое дерево

Как защитить яблоню от муравьев — простые и эффективные средства против вредителей
Спасение урожая яблок от муравьев. Коллаж: Новини.LIVE

Муравьи на яблоне — настоящий сигнал тревоги для садовода. На первый взгляд эти насекомые кажутся безобидными, но на самом деле они часто "сотрудничают" с тлей, которая истощает плодовое дерево, снижает урожай и может привести к гибели молодых побегов. Если вовремя не принять меры, муравьи быстро расселятся по всему саду.

Как защитить яблони и будущий урожай от муравьев — делимся с вами самыми эффективными, доступными и безопасными методами далее в статье.

Реклама
Читайте также:

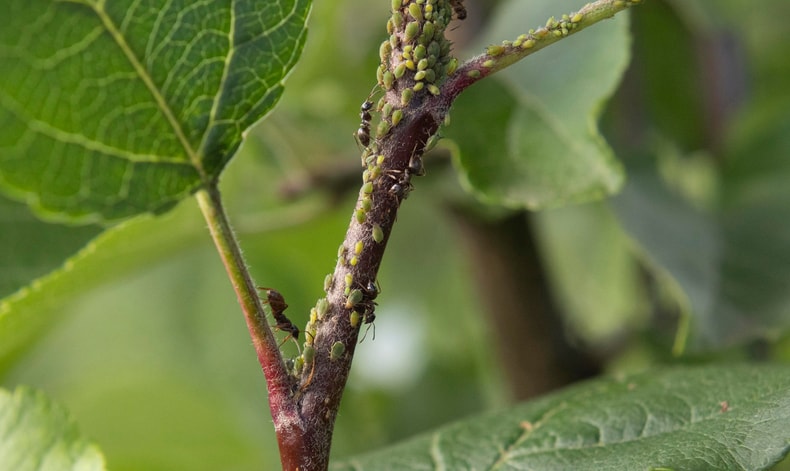
Почему муравьи для яблони очень опасные вредители

Муравьи не только повреждают кору дерева, прокладывая свои ходы, но и активно распространяют тлю. Они защищают тлю от естественных врагов и питаются сладкой медовой росой, которую она выделяет. Такое взаимодействие приводит к тому, что листья теряют соки, ослабевает фотосинтез, а дерево может даже остановить рост. Именно поэтому с муравьями нужно бороться комплексно и незамедлительно.

 

Чому мурахи для яблуні — дуже небезпечні шкідники
Муравьи и тля на яблоне, фото: istockphoto.com

Как обработать яблоню от муравьев — проверенные средства

1. Физический барьер

Создайте механическое препятствие для насекомых: обмотайте ствол тканью, пропитанной вазелином, солидолом или любым липким веществом. Липкая лента для деревьев также эффективно останавливает муравьев на подходе к кроне.

2. Народные средства от муравьев на яблоне

  • Уксусный раствор

Смешайте 1 ст. л. столового уксуса с 1 л воды. Опрыскивайте ствол, нижнюю часть дерева и вход в муравейник.

  • Чесночный настой

Измельчите головку чеснока, залейте 1 л кипятка и оставьте на сутки. Полученным настоем обработайте дерево и муравьиные тропы. Резкий запах действует как природный репеллент.

3. Химические средства против муравьев

Когда народные методы не помогают, стоит использовать садовые инсектициды в виде гелей или гранул, которые раскладывают возле муравейников и их маршрутов. Препараты доступны в садовых магазинах. Действуют быстро, но применять их следует осторожно, согласно инструкции.

 

Як обробити яблуню від мурах — перевірені засоби
Муравей на яблоке. Фото: verdensmaal.org

Чем посыпать вокруг яблони — природные репелленты

Для дополнительной защиты обработайте почву вокруг дерева:

  • корица;
  • какао;
  • сода;
  • куркума;
  • кофе.

Аромат этих веществ отпугивает муравьев, но после дождя процедуру нужно повторять.

Также помочь может борная кислота с сахаром — смешайте 1 ч. л. кислоты, 1 ст. л. сахара и несколько капель воды до состояния густой массы. Разложите в крышечках возле муравьиных троп — насекомые занесут смесь в колонию, что уничтожит ее изнутри.

 

Які рослини захищають яблуню від мурах
Большой урожай яблок. Фото: freepik.com

Какие растения защищают яблоню от муравьев

Посадите рядом с яблоней растения, запах которых муравьи не переносят:

  1. Полынь
  2. Пижма
  3. Мята перечная
  4. Чеснок
  5. Лук

Высаживайте их на расстоянии не менее 50 см от ствола, чтобы не повредить корневой системе дерева.

Ранее мы писали, почему абрикос в саду начал сохнуть и как можно спасти дерево.

Напомним, мы рассказывали, каким раствором следует обязательно полить вишню для хорошего урожая.

Также мы делились, когда идеальное время для сбора урожая калины.

советы сад вредители яблоня муравьи плодовые деревья
Реклама
Реклама
Реклама
Реклама