Мурахи напали на яблуню — як безпечно врятувати дерево

Як захистити яблуню від мурах — ефективні народні методи, поради садівникам
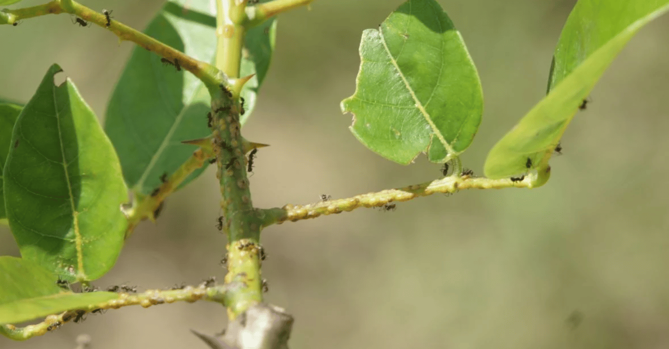
Мурахи, які атакують яблуко на плодовому дереві. Фото: Decorexpro

Наявність мурах на яблуні — це справжня проблема для садівників, з якою не так вже і легко впоратися, але якщо знати певні секрети, це можна з легкістю зробити. Дізнайтеся, як можна вберегти фруктові дерева від цих маленьких шкідників, щоб не нашкодити врожаю в саду.

Новини.LIVE ділиться корисними порадами для садівників.

Реклама
Читайте також:

Чим мурахи небезпечні для яблуні

Мурахи — це не такі вже і невинні комахи, оскільки вони можуть наробити справжнього лиха. Потрапивши на яблуню, ці шкідники сповільнюють розвиток дерев і сприяють появі такого серйозного шкідника на рослинах, як попелиця. В результаті ваші дерева можуть просто пропасти, а ви залишитеся без врожаю.

Муравьи
Багато мурах на дереві. Фото: Kumparan

Як можна позбутися мурах на яблуні

Щоб не нашкодити яблуням хімічними препаратами, можете скористатися народними засобами, які вважаються доволі ефективними в боротьбі з цими комахами. Наприклад, ви можете посадити навколо дерев рослини, які відлякують комах ароматом, зокрема, звичайну цибулю чи календулу.

Також можна намастити стовбури яблунь олією полину чи льону, які теж мають доволі різкий аромат. Щоб швидко захистити плодові дерева від мурах, можете обприскати їх лляною олією. Вона не дає мурахам розповзатися по дереву і діставати листя з плодами.

Обработка яблони
Процедура обприскування яблуні в саду. Фото: Decorexpro

Для приготування ефективного розчину проти мурах на яблунях вам потрібно взяти такі інгредієнти, як:

  • Олія льону — 50 грамів
  • Сода — десять грамів
  • Вода — два літра

Змішайте між собою ці інгредієнти та обприскайте свої фруктові дерева в саду, починаючи з нижньої частини стовбура, закінчуючи верхівками крон.

Нагадаємо, ми писали про те, чим потрібно підживити яблуню в саду навесні. 

Раніше ми розповідали про те, які дерева не можна садити поруч із яблунею в саду. 

Також ми повідомляли про те, як можна захистити яблуню в саду від обсипання плодів. 

дерева поради сад народні методи яблуня плодові дерева
Реклама
Реклама
Реклама
Реклама